点击右上角
微信好友
朋友圈

请使用浏览器分享功能进行分享

2024年度“全国十大考古新发现”
于今年4月24日在北京揭晓
甘肃临洮寺洼遗址成功入选

寺洼遗址
填补了中华文明探源研究中
黄河上游核心腹地的关键空白
以三重“围壕”结构、大规模手工业遗存
及半山类型聚落等多项“首现”
揭示了5000年前
黄土高原西部社会的文明化进程
为中华文明“多元一体”格局
增添了西北特色的重要实证

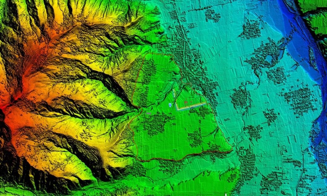
△寺洼遗址及周边地貌。
寺洼遗址在哪里?
寺洼遗址
位于甘肃省定西市临洮县寺洼山村
西倚九龙山,东临洮河
总面积约200万平方米
是寺洼文化的命名地

△寺洼遗址“围壕”内侧西北角发掘区。(寺洼遗址联合考古队供图)
遗存横跨新石器时代至青铜时代
包含马家窑文化、齐家文化
寺洼文化等多层次堆积
遗址地处洮河谷地南端
背山面水的地理格局
为早期聚落
提供了天然屏障和资源支持
△寺洼遗址历年发掘区及“围壕”分布图。(寺洼遗址联合考古队供图)
洮河谷地
分布着数十处同期遗址
形成以寺洼为中心的聚落群
凸显其在区域文明中的核心地位
寺洼遗址考古发掘历程
自1924年瑞典学者安特生
首次发现该遗址以来
其考古价值便备受关注
1945年
中国考古学家夏鼐
在此展开首次发掘
而寺洼遗址的现代系统考古工作
始于2018年
中国社会科学院考古研究所
与甘肃省文物考古研究所联合启动
“洮河流域新石器时代晚期至青铜时代聚落与社会”项目
开展7次主动性发掘
揭露面积近4000平方米
△洮河、寺洼遗址(中部山前缓坡)及背后“C”型山。新华社发(寺洼遗址联合考古队供图)
发掘团队采用多学科交叉方法
结合遥感、三维建模等技术
逐步揭示遗址的复杂结构
三重“围壕”体系、大型手工业区
及半山类型聚落的发现
标志着发掘取得突破性进展
推动遗址入选
“2024年度全国十大考古新发现”

△在临洮县博物馆拍摄的马家窑遗址发掘复原场景。新华社记者 范培珅 摄
寺洼遗址有哪些考古发现?
寺洼遗址最引人注目的发现
是三重近方形布局的大型“围壕(沟)”
三重围壕平行分布,直角转弯
东西长600米、南北宽450米
三沟口部(均)宽约9-11米
最深达4米
△寺洼遗址“围壕”西南角内侧拐角。(寺洼遗址联合考古队供图)

△图中黄、绿、蓝三色代表三重围壕。(央视新闻)
始建年代距今约5000年
其形制规整
兼具防御与排水功能
内圈为生产生活区
中圈与外圈则构成聚落边界
是目前国内已知最早的
近方形多重围壕体系
为后世长方形城池的规划
奠定了技术与社会组织基础
手工业中心:制陶的规模化生产
围壕内侧发现数十座
房址、陶窑、灰坑
及石器加工区
出土成套
石钻、石环半成品和废料
△马家窑文化半山类型的葫芦网格纹彩陶双耳罐。新华社发
△马家窑文化马家窑类型的旋涡纹彩陶双耳罐。新华社发
表明此处为专业化手工业集群
陶窑集中分布且规模庞大
印证寺洼遗址
是马家窑文化时期的区域性制陶中心
彩陶工艺代表了史前艺术的巅峰
△寺洼遗址出土的半山类型陶器
△马家窑类型石钻、石环半成品
半山类型聚落:填补文明链条的一环
遗址首次确认了
马家窑文化半山类型的大型聚落
发掘出房址、灰坑、陶窑和墓葬等遗迹
其中
房址内埋葬的现象
属国内首次发现
为探讨当时的社会结构与葬俗
提供了新线索

半山类型聚落的发现
拓开了早期
中西文化交流的“彩陶之路”
奠定了其在中华文明
早期发展过程中的重要历史地位
高等级中心聚落:社会组织复杂化的实证
遗址总面积超百万平方米
以围壕为界分为内外两区
外侧发现疑似道路
人工堆土及夯土基址
结合周边数十处同期遗址
寺洼遗址被确认为
马家窑文化的中心性聚落
彰显其政治、经济与文化领导地位

△寺洼遗址地形及主要发现示意图 (据刘建国图改定)
寺洼遗址有何价值?
寺洼遗址所在的洮河谷地
分布着数十处同期遗址
形成以寺洼为中心的聚落群
其三重围壕与高等级聚落布局
展现了马家窑文化社会复杂化进程
证实了黄河上游
在中华文明起源中的核心地位
弥补了西北地区
关键时期考古资料的缺失

△寺洼遗址内出土的半山类型陶器。新华社发(寺洼遗址联合考古队供图)
马家窑文化承袭仰韶文化
向西北拓展并吸收外来技术
寺洼遗址的彩陶贸易网络与手工业分工
凸显了其在早期东西方交流中的枢纽作用
丰富了中华文明起源的多样性
为“早期中国”的形成
提供了西北视角的支撑

△寺洼遗址内出土的马家窑类型泥质灰陶。(寺洼遗址联合考古队供图)
围壕的规划、手工业的专业化
及聚落等级分化
表明5000年前的寺洼社会
已具备复杂的社会组织与管理能力
其“城池”雏形与生产分工
为研究早期国家
形成前的社会形态提供了关键案例
△临洮县博物馆展出的寺洼文化双耳罐
甘肃临洮寺洼遗址的考古成果
是一次对史前聚落形态的技术性突破
是一场关于中华文明根脉的深度对话
从三重围壕到半山聚落
从彩陶工坊到跨区域交流
寺洼遗址书写了
黄河上游早期文明的辉煌篇章
这一发现再次印证
中华文明的起源绝非单一中心辐射
而是满天星斗般的多元融合
寺洼遗址
正是西北星空中最耀眼的一颗
△马家窑遗址鸟瞰图。资料图
撰写:洪佩珍(实习生)
